Grundstück - 275.000 €
 
Provisionsfrei* Grundstück in Mülheim Höhenhaus in einer Sackgasse in guter Lage von MülheimHöhenhaus
Informationen zur Immobilie:
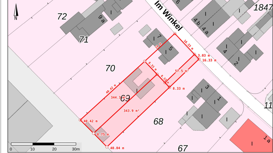
Grundstücksgröße
373,00 m²
Ort
51063 Köln
Objektart
Grundstück
275.000 €
Beschreibung:
Mehr zum Angebot Provisionsfrei* Grundstück in Mülheim Höhenhaus in einer Sackgasse in guter Lage von MülheimHöhenhaus:
Die Gesamtgröße des bebaubaren Grundstückes beträgt zirka 745 QM. Das Grundstück lässt sich mittig teilen. Dadurch ergeben sich bebaubaren Grundstücksgrößen von zirka 344 QM QM. Hinzu kommt der Wege Anteil... mehr erfahren
Die Gesamtgröße des bebaubaren Grundstückes beträgt zirka 745 QM. Das Grundstück lässt sich mittig teilen. Dadurch ergeben sich bebaubaren Grundstücksgrößen von zirka 344 QM QM. Hinzu kommt der Wege Anteil... mehr erfahren
weitere Grundstücke
